Se prevé toque tierra como categoría 2 entre el miércoles y jueves, con posibilidad de intensificarse hasta 4 o 5
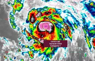
Ciudad de México.- La tormenta tropical Erick se intensificó este miércoles hasta convertirse en un huracán de categoría 1 en la escala Saffir-Simpson, mientras se aproxima a las costas del sur de México, informó el Servicio Meteorológico Nacional (SMN).
De acuerdo con el más reciente reporte, a las 06:00 horas el centro del huracán, el primero de la temporada 2025 en el Pacífico mexicano, se localizó aproximadamente a 255 kilómetros al sur-sureste de Puerto Ángel, Oaxaca, y a 440 km al sureste de Punta Maldonado, Guerrero.
Erick tiene vientos máximos sostenidos de 120 kilómetros por hora (km/h), rachas a 140 km/h y desplazamiento hacia el noroeste a 11 km/h.
#AvisoMeteorológico#Erick se intensificó a #Huracán categoría 1 en la escala #SaffirSimpson.
— CONAGUA Clima (@conagua_clima) June 18, 2025
Toda la información en ⬇️ https://t.co/FWmCWldhoY pic.twitter.com/ucM2gjGkL0
El SMN alertó el martes de la evolución de Erick a un potencial huracán, que se prevé toque tierra como categoría 2 entre hoy y mañana en los estados de Oaxaca y Guerrero, con posibilidad de intensificarse hasta 4 o 5.
Durante la mañana de este miércoles, el ciclón dejará lluvias puntuales torrenciales, de 150 a 250 milímetros, en Guerrero, Oaxaca, Chiapas y el sur de Veracruz.
También se pronostican vientos de hasta 100 a 120 km/h con rachas de 130 a 150 km/h en costas de Oaxaca y Chiapas y de 40 a 60 km/h con rachas de 70 a 90 km/h en Guerrero.
Además de oleajes de hasta 2.5 a 3.5 metros de altura en las costas de Oaxaca y Chiapas, así como olas de entre 1.5 y 2.5 metros en Guerrero.
Hurricane #Erick Advisory 7A: Erick Now a Hurricane. Expected to Bring Hurricane Conditions and Life-Threatening Flash Floods to Portions of Southern Mexico Later Tonight And Thursday. https://t.co/Oy8uoeRKme
— NHC Pacific (@NHC_Pacific) June 18, 2025
El SMN activó una zona de prevención por efectos de huracán desde Acapulco, Guerrero, hasta Puerto Ángel, Oaxaca; zona de vigilancia por efectos de huracán desde el oeste de Acapulco hasta Técpan de Galeana, Guerrero y desde el este de Puerto Ángel hasta Bahías de Huatulco, Oaxaca.
También activó zona de prevención por efectos de tormenta tropical desde el este de Puerto Ángel hasta Salina Cruz, Oaxaca.
Las autoridades alertaron sobre posibles deslaves, crecidas de ríos e inundaciones en zonas bajas. La población debe seguir los avisos del SMN y atender las indicaciones de Protección Civil.